アポクル予約

※手術の写真を掲載しておりますので、
苦手な方はご注意ください。

犬の心臓病 僧帽弁閉鎖不全症
 特に小型犬などに多く見られ、ワンちゃんの心臓病としてもっともポピュラーと言えるのが心臓弁膜疾患です。中でも左心房と左心室を分ける僧帽弁という弁膜に異常をきたし、血流が悪くなる結果様々な全身症状を示すようになります。(=僧帽弁閉鎖不全症)
心臓弁が機能しなくなり血液が逆流すると、全身からの血流や肺への血流が滞り(=うっ血)心房や心室に負荷がかかり心拡大へと進行します。
 初期には無症状である場合も多く、偶然見つかることも珍しくありません。病院での聴診時にザーザーという心雑音が聴取されることで比較的容易に発見されます。しかしながら、よくよくお話を聞いてみると、「そういえば昔より水を飲む量が増えた気がする」とか「朝方にしばしばむせ込むようになった」など徐々に症状があらわれている場合もあり注意が必要です。

症状
咳が出る
疲れやすい、運動したがらなくなる(運動不耐性)
呼吸困難
失神

最も怖いのが肺水腫と呼ばれる状態(救急)
肺への循環に異常をきたし肺がスポンジが水を吸い込んだようになってガス交換できなくなります。
よだれや鼻から血混じりの分泌物を垂らして呼吸困難となり、失神してしまう場合やそのまま窒息して絶命してしまうこともあります。
診断と治療について
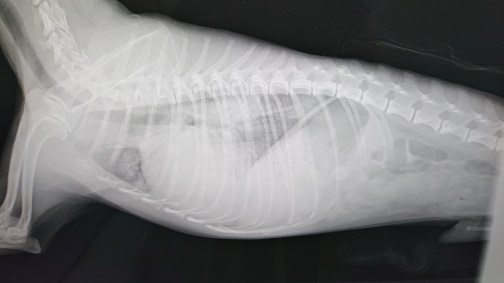
 検査を受け、病期(ステージ)を診断してどのような投薬が必要かを判断します。アメリカ獣医内科学会(ACVIM)が提唱する進行のステージA→B1→B2→C→Dのうち、ステージB2以上が治療開始の対象となります。レントゲン検査および超音波検査でこれらステージを確認します。
心臓バイオマーカー検査
 心臓から出るホルモン(=NT-proBNP)を血液検査によって測定し、どの程度心臓に負担がかかっているかを知る手段です。比較的早期の心臓病の発見に役立てる役割があります。当院での健康診断の項目にも設定しています。

 心臓弁膜症の内科治療は飲み薬による症状の緩和が目的です。病気が治るわけではなく、徐々に進行する状況に応じて、薬で体の負担を軽減することが治療のゴールです。
飲み薬には心臓の動きを良くし拍出の活動を助ける強心剤や、血管や腎臓に作用し血液循環の負担を軽くする血管拡張剤や利尿剤などが使用されることが多く、病期の進行と状態によって組み合わせて使用します。心臓病の内科的な治療は原則一生涯続けていくことになります。
 また、近年では外科手術で完治を目指すという選択肢も可能となりつつあります。現在は大学病院や一部の専門病院でしか実施されていませんが、当院でも2016年より開心による弁形成手術を実施しております。

執筆担当:獣医師 喜多見 恵比寿からも近い動物医療センター白金台トップページ
港区白金台4-10-11
TEL03-5739-0535